☆沖縄ダイビングinKERAMA☆
海況 時化 晴れ 気温 30℃ 水温 27℃ 透明度 20m
今日はライセンス持ちの方のみで慶良間に行ってきましたよ
3本ともドリフトダイビングでマンタも狙いつついろんなポイントに攻めて来ましたよ!
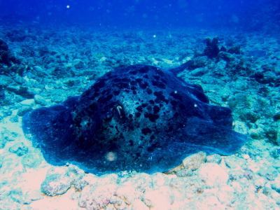
マンタには会えませんでしたが・・・代わりに他の種類のエイがいましたよ
一匹目は・・・
二匹目は・・・
三匹目は・・・
水面近くでしたがツムブリがいっぱい!!
ロウニンアジ!!かなり近づけましたよ!!
また一緒に潜りましょう!!!
PR6月~10月限定!粟国・渡名喜・慶良間諸島1泊2日ダイブクルーズ




最大8ダイブ!すべてドリフトで大物・地形などを狙います!!未開拓のダイビングポイントをチョイス!満足度120%間違いありません!
出発
・第3回 09月29日(火)⇒09月30日(水)・第4回 10月29日(木)⇒10月30日(金)
お一人様¥57,800
古き良き昔ながらの沖縄の海・風景をご堪能頂けます!!必見です。
詳しくはこちら!http://www.teada-okinawa.com/dive_cruise
さらに、8月~11月初旬はマンタ強化月間DEY!上記のキャンペーンに合わせてマンタを見に行きませんか??
詳しくはこちら! http://www.teada-okinawa.com/fundiving_kerama/
11月~6月限定!ルカン礁・シャークラインツアー 新しいツアーを期間限定で開催します!ハンマーヘッドや回遊魚を狙ってせめまくり!秋・冬・春も見逃せない限定商品です!50本以上かアドヴァンス以上でスムーズに潜降出来る方限定です。
シャークラインツアー¥12,600(レンタル別)







